Ciudad de México.- El huracán Otis creció rápidamente a categoría 3, en la escala Saffir-Simpson, apenas unas horas después de haber pasado por las categorías 1 y 2, durante su paso por el Pacífico hacia el estado de Guerrero, sur de México, donde puede tocar tierra el miércoles, informó este martes el Servicio Meteorológico Nacional (SMN).
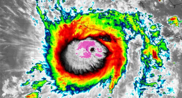
"El huracán Otis se ha intensificado rápidamente a categoría 3 pudiendo alcanzar la categoría 4 en las próximas horas. Su centro se localiza frente a las costas de Guerrero", reportó el SMN en su más reciente aviso.
Además, dijo que "su amplia circulación ocasiona lluvias en el centro y sur del territorio nacional, además de rachas de viento y oleaje elevado en costas de Guerrero y Oaxaca",
Otis, surgido el sábado como depresión tropical, se localizó en el último registro a 150 kilómetros al suroeste de Punta Maldonado y a 185 kilómetros al sur-sureste de Acapulco, Guerrero, uno de los principales destinos turísticos del país.
El fenómeno presenta vientos máximos sostenidos de 205 kilómetros por hora, rachas de 250 kilómetros por hora y un desplazamiento hacia el nor-noroeste a 13 kilómetros por hora.
Por su amplia circulación, el SMN pronosticó lluvias "torrenciales", de 150 a 250 milímetros, en Guerrero, "intensas" en Oaxaca, y "fuertes" en el Estado de México, Morelos y Puebla, así como intervalos de chubascos en Ciudad de México y Michoacán.
Asimismo, se prevén rachas de viento de 120 a 150 kilómetros por hora y oleaje de 5 a 7 metros de altura en costas de Guerrero y Oaxaca.
"Las precipitaciones mencionadas, que serán con descargas eléctricas, podrían generar deslaves, incremento en niveles de ríos y arroyos, así como desbordamientos e inundaciones en zonas de los estados mencionados", advirtió el SMN.
Este ciclón tocaría tierra apenas días después del golpe de Norma en el occidente de México, donde dejó tres muertos en el estado de Sinaloa.
Otis es el decimoquinto ciclón con nombre de esta temporada en el Pacífico, donde antes se formaron Adrian, Beatriz, Calvin, Dora, Eugene, Fernanda, Greg, Hilary, Irwin, Jova, Kenneth, Lidia, Max y Norma.
De ellos, el más dañino ha sido Hilary, que en agosto dejó cuatro muertos en los estados de Baja California, Baja California Sur y Sinaloa, todos en el norte de México.
Mientras que el doble azote de los ciclones Lidia y Max dejó cinco muertos en total en la segunda semana de octubre, uno en Nayarit, dos en Jalisco y dos en Guerrero.
El Gobierno de México pronosticó en mayo la formación de hasta 38 ciclones con nombre en la temporada de 2023, de los que cinco pueden azotar el país. EFE
