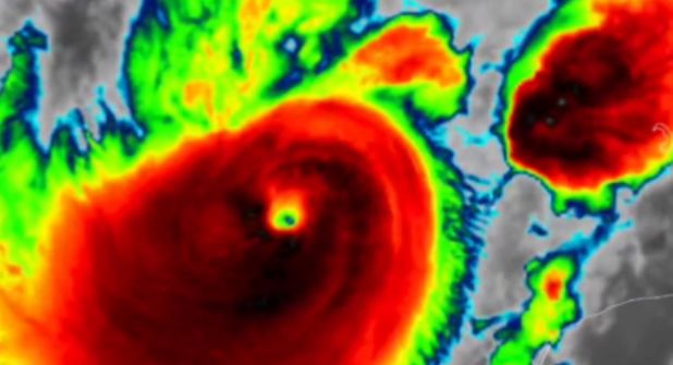
Ciudad de México.- Milton se ha fortalecido rápidamente y convertido en un huracán de categoría 5, en la escala Saffir-Simpson de un total de 5, con vientos máximos sostenidos de 250 kilómetros por hora (100 millas), según el Centro Nacional de Huracanes (NHC, en inglés).
El sistema amenaza con marejada ciclónica y condiciones de huracán a una amplia zona de la Península de Yucatán (México).
Igualmente, hay "un riesgo creciente" de marejada ciclónica y vientos destructivos en la costa oeste de Florida a partir del martes por la noche o temprano el miércoles.
El NHC urgió a los residentes de la costa del centro-oeste floridano estar atentos a las órdenes de evacuación de las autoridades locales.
Florida se prepara ante la prevista llegada de 'Milton'; declaran estado de emergencia
El gobernador de Florida, Ron DeSantis, declaró el sábado el estado de emergencia en 35 condados en anticipación al previsible impacto de la tormenta tropical Milton, que hacia mediados de la próxima semana podría llegar a la costa oeste de este sureño estado, posiblemente como un huracán mayor.
Te podría interesar
Estos preparativos tienen lugar en momentos en que prosiguen las tareas de recuperación tras el impacto el pasado 26 de septiembre del poderoso huracán Helene, de categoría 4, que ha causado al menos 227 muertos y centenares de desaparecidos en seis estados.
"Continuaremos organizando recursos estatales de cara a prepararnos para una búsqueda y rescate eficientes, restauración de energía y limpieza de carreteras", señaló hoy DeSantis en una publicación en su cuenta oficial de X.
