Biden declara zona de desastre a Texas tras paso de Beryl
9/7/2024 | El presidente demócrata de Estados Unidos declaró que los trámites de la ayuda se han retrasado por la ausencia del gobernador republicano del estado sureño.
9/7/2024 | El presidente demócrata de Estados Unidos declaró que los trámites de la ayuda se han retrasado por la ausencia del gobernador republicano del estado sureño.
7/7/2024 | De acuerdo a la Conagua en las próximas horas, Beryl impactaría las costas de Texas.
7/7/2024 | El huracán Beryl se desvió hacia Texas y, en su lugar, salió el sol que propició que niños se divirtieran en las fuentes de la explanada del Paseo Santa Lucía.
7/7/2024 | De acuerdo a la Conagua se espera que en el trascurso de esta tarde, Beryl tome fuerza y se convierta nuevamente en un huracán, ahora de categoría 1.
7/7/2024 | Aunque amaneció con un cielo predominantemente soleado, se prevé la presencia de nubosidad y posibilidades de lluvia en este cierre de semana.
6/7/2024 | Los más de 400 mil usuarios afectados por el huracán Beryl en los tres estados peninsulares ya tienen luz en sus viviendas, pero el personal de la CFE permanecerá atenta a más reportes.
6/7/2024 | La compañía del ferrocarril informó que las brigadas de inspección verificaron los 901 kilómetros de vía, confirmando que la infraestructura está en buen estado para operaciones seguras.
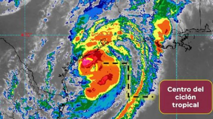
6/7/2024 | La institución estadounidense alertó sobre el riesgo creciente de vientos y ciclónicas mortales, pidiendo a los habitantes seguir las instrucciones de las autoridades locales.
5/7/2024 | La alerta está ahora en Texas y la costa noreste de México.
5/7/2024 | Hoy viernes se reactivó el transporte y la actividad económica en todo el estado, que no registró pérdidas humanas por el huracán.
5/7/2024 | El fenómeno natural llegó a Tulum poco después de las 5:00 horas, cuando el cielo todavía estaba oscuro.
5/7/2024 | Aunque sí hay múltiples colonias sin servicio de energía eléctrica, situación que ya trabaja personal de CFE.
4/7/2024 | El mensaje de AMLO fue hecho luego de que el huracán Beryl recuperara su fuerza y se incrementara a categoría 3.
4/7/2024 | En Quintana Roo, la alerta naranja ha sido declarada, resultando en la evacuación de zonas vulnerables como Isla María Elena y Punta de Hierro.